فلوريدا تستقبل إعصار إيان شديد الخطورة

فلوريدا تستقبل إعصار إيان شديد الخطورة

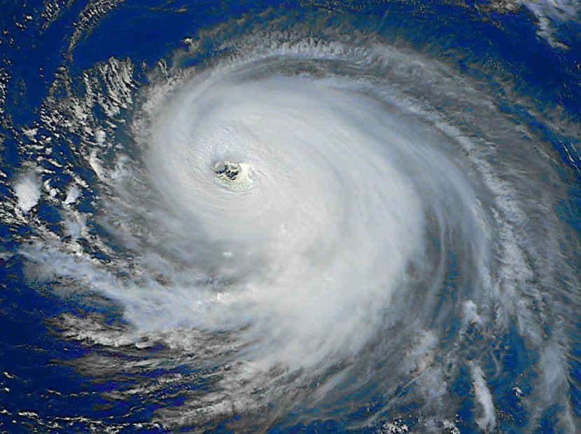
استقبلت ولاية فلوريدا الأمريكية أمس، الإعصار إيان المصنف من الفئة الرابعة، بعدما أسفر عن مقتل شخصين في كوبا، التي غرقت في الظلمة بسبب انقطاع الكهرباء عن كامل أراضيها.
وأعلن المركز الوطني للأعاصير في الولايات المتحدة أن قوة إيان اشتدت ليصبح "إعصارا خطيرا للغاية من الدرجة الرابعة"، وفق مقياس سفير سيمبسون المؤلف من خمس درجات.
وتهدد سرعة رياح الإعصار البالغة 220 كلم/ساعة بالتسبب بـ"عاصفة مميتة" وبرياح وأمطار "كارثية"، وفق المركز الوطني للأعاصير.
وأكد جو بايدن الرئيس الأمريكي أن إيان "قد يكون إعصارا عنيفا جدا وآثاره مدمرة ويعرض أرواحا للخطر".
وأقر بايدن مساعدة فيدرالية طارئة لـ24 من مقاطعات فلوريدا.
واجتاحت رياح عنيفة أرخبيل "كيز" وجزءا من ساحل فلوريدا الجنوبي الغربي، وفق المركز الوطني للأعاصير.
وأكدت وزارة الدفاع الأمريكية أن ثلاثة آلاف من رجال الحرس الوطني في حالة تأهب في فلوريدا، فيما يتوقع وصول 1800 آخرين.
وكتبت شركة الكهرباء العمومية "أونيون إليكتريكا" في تغريدة أن البلاد التي تضم 11,2 مليون نسمة دون كهرباء.
وغادرت عين الإعصار الأراضي الكوبية على ما أفاد معهد الأرصاد الجوية في كوبا.
وخلف الإعصار الدمار في بلدات عدة في غرب كوبا على ما شاهد صحافيو الوكالة "الفرنسية".
وعلى طريق سام خوان إي مارتينيس على بعد 190 كيلومترا من هافانا ضرب الإعصار بقوة بينار ديل ريو، حيث تتركز أغلبية مزارع التبغ في البلاد. وقد غمرت المياه المزروعات واقتلعت أشجارا، فيما انتشرت كابلات كهربائية على الأرض.
وقال يوسلان رودريجيس، وهو مزارع تبغ يبلغ الـ37 دمرت مزرعته بالكامل "لا أعرف ما عسانا نفعل هذا الموسم".
وبلغت سرعة الرياح 208 كيلومترات في الساعة في سان خوان إي مارتينيس.

الأكثر قراءة